Most fruit trees have one pruning window, which makes timing straightforward. Knowing when to prune fig trees is harder — they give you more room to work with, but that flexibility is exactly what causes confusion.
The advice you will find online ranges from “prune in winter” to “prune in summer” to “don’t prune at all.” Some of it is wrong. Most of it is incomplete. The real answer depends on your climate, your variety, and whether you care about the breba crop — a concept that doesn’t exist for apples, pears, or any other fruit tree in your garden.
Figs are different because they can fruit on both old and new wood. That single fact changes everything about how and when you prune. Get it right and you have a productive tree that stays manageable. Get it wrong and you either lose a crop or end up with a 6-metre monster that fruits only at the top where you can’t reach it.
Key Difference From Other Fruit Trees
Fig trees produce two potential crops per year: the breba crop on last year’s wood (early summer) and the main crop on new growth (late summer/autumn). How you prune determines which crop you get. In cool climates, only the main crop matters. In warm climates, both are worth keeping.
Why figs are unlike anything else in your garden
Every other fruit tree in the pruning series — cherry, plum, peach — fruits on one type of wood. Cherries fruit on spurs or one-year-old wood. Peaches fruit on last year’s growth. Apples fruit on spurs that produce for years.
Figs do both. They set an early crop (the breba) on the tips of last year’s branches, and a later main crop on the current season’s new growth. This dual fruiting habit means pruning has trade-offs that don’t exist with other fruit trees.
If you prune hard in winter, you remove the branch tips that carry the breba crop. You will get a strong main crop on the vigorous new growth, but the early figs are gone.
If you barely prune, you keep the breba wood but the tree grows enormous. Figs are among the most vigorous fruit trees you can grow. An unpruned fig in a mild climate will easily reach 8-10 metres and spread just as wide. The fruit ends up at the top of the canopy where birds get it before you do.
The right approach depends on where you live.
Breba crop vs main crop — and why it matters for pruning
The breba crop forms in autumn as small embryonic figs at the tips of that year’s growth. These tiny figs overwinter on the bare branches and swell to full size the following spring, ripening in early to mid summer. In warm climates — southern California, the Mediterranean, parts of the southern US — the breba crop is reliable and often the better harvest.
The main crop forms on new wood that grows in spring. These figs develop from scratch on the current season’s branches and ripen in late summer to autumn. In cooler climates, this is the only crop that matters because breba figs rarely survive the winter or ripen before autumn cold arrives.
Here is the pruning implication: if you live somewhere warm enough for the breba crop, you want to preserve last year’s branch tips. Prune lightly, removing only what is necessary for shape and airflow. If you live in a cooler climate where the breba crop never ripens anyway, prune harder. You are not losing anything by cutting back last year’s wood, and the vigorous new growth will carry a strong main crop.
In the UK, the breba crop is almost never worth chasing. British summers are too short and too cool for the early figs to ripen reliably. Focus on the main crop and prune accordingly.
In the US, it depends on your zone. Zones 8-10 can get both crops. Zones 6-7 will get a main crop and an occasional breba in warm years. Zones 5 and below — you are growing figs on the edge, and the main crop on new wood is your only realistic option.

The ideal pruning window
Prune fig trees in late winter or early spring, while the tree is still dormant but just before growth starts. This is the same general window as apple trees and pear trees, and for similar reasons: the tree is bare so you can see the structure clearly, wounds heal quickly once spring growth begins, and you have the full season ahead for new fruiting wood to develop.
The specific timing depends on your climate.
UK (February to early March): Figs in the UK are almost always grown against a south-facing wall or in containers. The mild, wet winters rarely cause severe frost damage, but a late cold snap in March can catch new growth. Prune in February when the tree is still fully dormant. If your fig is wall-trained, this is also the time to tie in branches and remove anything growing away from the wall.
US zones 8-10 (January to February): Mild-winter regions where figs are fully hardy. Prune early in the dormant season. In southern California, the Gulf Coast, and the Deep South, January is fine. The tree will break dormancy early, so don’t wait too long. If you want to preserve the breba crop, prune lightly — just remove dead wood, suckers, and crossing branches.
US zone 7 (February to March): The transition zone. Figs are marginally hardy here and may suffer some tip dieback in cold winters. Prune in late February to March, after the worst cold has passed. Assess winter damage before making cuts — wait until you can see which wood is alive and which is dead.
US zones 5-6 (after last frost): Cold-climate fig growing. Many figs in these zones die back to the ground or to a protected trunk each winter. Prune after the last frost date, once you can see where new growth is emerging. In practice, this often means April or even early May. You are not really pruning for shape — you are cleaning up winter damage and letting the tree regrow from whatever survived.
The biological signal is the same everywhere: prune while buds are still dormant or just beginning to swell. Once leaves are unfurling, you have waited too long for major structural work.
Regional timing at a glance
| Climate | When to Prune | Priority |
|---|---|---|
| UK | February - early March | Main crop. Prune wall-trained figs for shape and size control. |
| US zones 8-10 | January - February | Both crops possible. Light pruning preserves breba wood. |
| US zone 7 | February - March | Main crop primary. Assess winter damage first. |
| US zones 5-6 | After last frost (April-May) | Main crop only. Clean up dieback, let tree regrow. |
| Mediterranean | December - February | Both crops. Classic open vase pruning. |
Track your fig trees with Leaftide.
Free for up to 30 plants. No card needed.
Container fig pruning
Container figs are a different game. Root restriction changes the tree’s behaviour fundamentally — it reduces vigour, encourages fruiting over vegetative growth, and keeps the tree compact. This is why the RHS recommends growing figs in containers or lined pits in the UK. Without root restriction, a fig against a warm wall will grow enormous and produce mostly leaves.
Prune container figs in late winter, the same as in-ground trees. But the approach is less aggressive. The tree is already constrained by the pot, so you are not fighting the same vigour. Focus on:
- Removing dead or damaged wood
- Cutting out any branches that cross or crowd the centre
- Shortening long shoots to maintain a compact shape
- Removing suckers from the base
Every few years, you may need to root prune as well. Unpot the tree in late winter, shave off the outer layer of roots with a sharp knife, and repot in fresh compost. This keeps the tree healthy and productive without needing a bigger container.
Container figs are also easier to protect in cold climates. You can move them into an unheated garage or shed for winter, which means the breba crop has a better chance of surviving. If you are in zone 6 or colder and want figs, containers are the most reliable approach.
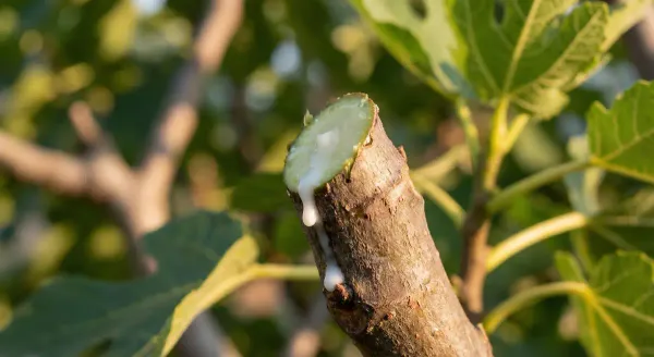
The Latex Sap
Fig trees bleed white latex from every cut. This sap is a genuine skin irritant — it causes contact dermatitis, and the reaction is worse in sunlight (phytophotodermatitis). Always wear gloves and long sleeves when pruning figs. Pruning while dormant in late winter reduces sap flow, but figs will bleed at any time of year. Wash any skin contact immediately with soap and water.

Keep a proper pruning log for your fig trees.
Free for up to 30 plants. No card needed.
Pruning for size control
This is the reason most people prune figs. Left alone, a fig tree in a favourable climate will grow 8-10 metres tall and just as wide. Even in the UK, a wall-trained fig can cover an entire house wall in a few years. Figs are relentlessly vigorous.
The standard approach for freestanding figs is an open vase shape — the same form used for peach trees. Three to five main scaffold branches rising from a short trunk, with an open centre for light and air. Each winter, shorten the scaffold branches and remove inward-growing shoots to maintain the shape.
For wall-trained figs, the goal is a fan with branches spread horizontally and tied to wires. Remove anything growing directly out from the wall or straight up. Shorten side shoots to five or six leaves in summer to encourage fruit bud formation, then tidy the framework in late winter.

For size control specifically, don’t be afraid to cut hard. Figs respond to heavy pruning with vigorous regrowth. You can cut a fig back to a basic framework of main branches every winter and it will refill the space by midsummer. This sounds drastic, but it is the standard approach in commercial fig orchards where trees are kept at picking height.
The key is consistency. If you skip a year, the tree gets ahead of you and the next pruning session becomes a major operation. Annual winter pruning keeps the tree at a manageable size without the shock of occasional hard cuts.
Cold climate fig care
Growing figs in zones 5-6 requires a different mindset. The tree is not a permanent structure that you shape over years — it is a plant that may die back to the ground each winter and regrow from the roots each spring.
Several strategies exist:
Wrapping: After leaf fall, tie the branches together, wrap the tree in burlap or horticultural fleece, and stuff the interior with straw or dry leaves. This protects the wood down to about -10C (14F). Unwrap in spring after the last hard frost. If the wood survived, you keep the breba crop potential and have a head start on the season.
Burying: In some traditions, particularly Italian-American gardening in the northeastern US, fig trees are bent to the ground in autumn and buried under soil or mulch. This provides excellent insulation. The tree is uncovered in spring and trained back upright. It works, but it is labour-intensive and only practical for young, flexible trees.
Cutting to ground: The simplest approach. Let the fig die back naturally in winter, then cut all dead wood to the ground in spring. The tree regrows from the roots and fruits on new wood by late summer. You lose the breba crop entirely, but varieties like Chicago Hardy and Hardy Chicago will produce a main crop on new growth in a single season, even in zone 5.
Container growing: Move the potted fig into an unheated garage, basement, or shed for winter. The tree goes dormant, the wood is protected from the worst cold, and you bring it back outside after the last frost. This is the most reliable method for cold climates and the only way to get a breba crop in zones 5-6.
Pruning in cold climates happens in spring, not late winter. Wait until you can see what survived. New growth emerging from the base or from protected wood tells you where the living tissue is. Cut everything dead back to the nearest live bud or to the ground. Then let the tree grow.
Common fig varieties and their pruning needs
Brown Turkey: The most widely grown fig in the UK and one of the most popular in the US. Vigorous, reliable, and cold-hardy to about zone 7. Produces a heavy main crop on new wood. Prune hard in late winter to control size — Brown Turkey will outgrow any space you give it. The breba crop is small and not worth preserving in cool climates.
Celeste (Sugar Fig): A southern US favourite, hardy to zone 7. Compact growth habit compared to Brown Turkey, so it needs less aggressive pruning. Produces sweet, small figs on new wood. The breba crop is minimal. Prune lightly for shape and to remove dead wood.
Chicago Hardy: The go-to variety for cold climates, hardy to zone 5 with protection. Dies back to the ground in severe winters but regrows and fruits on new wood in a single season. Pruning is mostly cleanup — remove dead wood in spring and let the tree regrow. In milder years where wood survives, you can shape it like any other fig.
Black Mission: A classic California variety, best in zones 8-10. Vigorous and tall-growing. Produces excellent breba and main crops in warm climates. Prune to control height — Black Mission will reach 10 metres if you let it. In warm zones, prune lightly to preserve breba wood on branch tips.
Kadota: Another warm-climate variety, zones 8-10. Vigorous, upright growth. Produces a heavy main crop and a moderate breba crop. Needs regular pruning to keep it at a manageable height. Responds well to hard winter pruning.
Violette de Bordeaux (Negronne): A compact variety that works well in containers and small spaces. Less vigorous than Brown Turkey or Black Mission. Needs minimal pruning — just remove dead wood and maintain shape. Good choice for gardeners who don’t want to fight a tree for control of their wall.
Regardless of variety, the timing is the same: late winter while dormant, just before growth starts. The intensity of pruning varies with the variety’s vigour and your climate, but the window does not change.
Month-by-month pruning calendar
| Month | What to Do |
|---|---|
| January | Prune in zones 8-10. Elsewhere, leave the tree alone — it is still deep in dormancy and cold snaps can damage fresh cuts. |
| February | Main pruning window for the UK and zone 7. Prune on a dry day while buds are still dormant. |
| March | Last chance for pruning in the UK. In zones 5-6, wait — it is still too early. |
| April | Pruning window for zones 5-6 after last frost. Assess winter damage and cut dead wood to live tissue. |
| May | No major pruning. Pinch growing tips on wall-trained figs to encourage branching. Remove suckers. |
| June | Light summer work only. Remove suckers, pinch tips, thin overcrowded shoots on fans. |
| July-August | No structural pruning. On wall-trained figs, shorten new side shoots to five or six leaves to encourage fruit bud formation. |
| September | In the UK, remove any figs larger than a pea that won’t ripen before winter. These drain energy. Leave the tiny embryonic figs at the branch tips — these are next year’s breba crop. |
| October-November | No pruning. In cold climates, begin winter protection (wrapping, burying, or moving containers indoors). |
| December | No pruning. The tree is dormant. Plan next year’s pruning based on this season’s growth. |
Common mistakes
The biggest mistake is pruning too late in spring. Once a fig tree is in active growth with leaves unfurling, heavy pruning removes photosynthetic capacity and stresses the tree. You also expose developing fruit to sunscald. The window is late winter to very early spring — not mid-spring.
The second mistake is never pruning at all. Figs are so vigorous that an unpruned tree quickly becomes unmanageable. The fruit moves to the top of the canopy where you cannot reach it, the interior becomes a dense tangle, and the tree takes over whatever space it is near. Annual pruning is not optional with figs.
The third mistake is not wearing gloves. Fig latex is a real irritant. I have seen gardeners with painful rashes on their forearms from pruning figs in a t-shirt on a sunny day. The combination of sap and UV light causes a phototoxic reaction that can blister. Wear gloves and long sleeves every time.
The fourth mistake is removing the tiny embryonic figs in autumn. In the UK and other cool climates, you should remove large unripe figs in September because they will not ripen and they waste the tree’s energy. But the tiny pea-sized figs at the branch tips are next year’s breba crop. Leave them. They overwinter on the wood and swell in spring.
The fifth mistake is treating a cold-climate fig like a warm-climate fig. If you are in zone 6 and trying to maintain a permanent framework on an unprotected fig, you are fighting a losing battle. Accept that the tree may die back and plan for it. Grow a variety like Chicago Hardy that fruits on new wood, and treat the annual regrowth as your pruning strategy.
After you prune
Do not apply wound paint or sealant. Figs heal quickly once spring growth begins, and the latex sap itself has some antimicrobial properties. Artificial sealants can trap moisture against the wound and do more harm than good.
Clean up all prunings and dispose of them. Fig wood left on the ground can harbour pests, and the latex sap makes it unpleasant to handle once it dries and you have forgotten it is there.
If you pruned a wall-trained fig, tie in the remaining branches while you can see the structure clearly. Space the main ribs of the fan evenly and secure them to wires or trellis. This is much easier to do in late winter when the tree is bare than in summer when it is covered in large leaves.
Water well once growth starts if spring is dry. Figs are drought-tolerant once established, but a tree that has just been pruned hard benefits from consistent moisture as it pushes new growth. This is especially true for container figs, which dry out faster than in-ground trees.
Feed with a balanced fertiliser in spring. Figs are not heavy feeders, but a light application of general-purpose feed supports the flush of new growth that will carry the main crop. Avoid high-nitrogen feeds, which encourage leafy growth at the expense of fruit.
What to record
Figs respond differently to pruning depending on the year’s weather, the severity of the previous winter, and how hard you cut. Recording what you did and how the tree responded is the fastest way to dial in the right approach for your specific tree and climate.
Note the date you pruned, how much you removed, and the tree’s condition — did the wood survive winter? Was there dieback? How many embryonic breba figs were on the branch tips? Then track the results through the season. When did new growth start? When did the main crop ripen? Was the breba crop worth anything?
After two or three years of records, you will know exactly how your fig responds to different levels of pruning and you can adjust accordingly.
A fruit tree pruning log gives you a structured way to track this. If you are managing figs alongside other fruit trees that all have different pruning windows, Leaftide’s permanent plant profiles let you record each tree individually with its own timeline of care.
Track your fig trees year to year
Free for up to 30 plants. No card needed.
Chill hours and fig dormancy
Figs have very low chill hour requirements compared to other fruit trees — most varieties need only 100-300 hours below 7C (45F). This is why figs grow well in mild-winter climates where apples and cherries struggle to get enough chill. It also means figs break dormancy early in warm spells, which can be a problem if a late frost follows.
If you are unsure whether your climate provides enough chill for other fruit trees, check our chill hours guide or use the Chill Hour Validator. For figs specifically, chill is rarely the limiting factor — cold damage to wood and fruit is the real concern.
This low chill requirement also affects pruning timing. Because figs wake up early, you need to prune early in the dormant window. If you wait until March in a zone 8 climate, the tree may already be pushing new growth. Prune in January or February while it is still genuinely dormant.
Sources
This article draws on guidance from the University of California Division of Agriculture and Natural Resources’ fig production resources, Texas A&M AgriLife Extension’s home fruit production guide for figs, and the Royal Horticultural Society’s guidance on growing figs in the UK.
For cold-climate fig growing, the University of Maryland Extension provides practical advice on winter protection and variety selection.
Figs are pruned in late winter, the same general window as apple trees and pear trees. For summer-pruned fruit trees, see our guides on when to prune cherry trees and when to prune plum trees. For spring-pruned stone fruit, see when to prune peach trees.